Научное название этой болезни – кладоспориоз, и вызвана она паразитическими грибками одноименного вида Cladosporium, способными поражать овощные (томаты, огурцы, дыни, кабачки) и декоративные культуры.
Первый симптом – одиночные мелкие пятнышки желтовато-серого или салатового цвета, иногда с желтой каймой, которые со временем темнеют. На обратной стороне листа эти пятна покрываются светло-серым налетом, похожим на паутину, а по мере развития болезни на их месте появляются отверстия. Далее пораженные листья скручиваются, сохнут и опадают.
Споры грибка могут зимовать на зараженных поверхностях и инструментах, легко переносятся по воздуху, могут также попадать в почву с водой для полива. Предотвратить развитие болезни и вылечить рассаду на ранней стадии поможет обработка семян и молодых растений раствором биофунгицида: Алирин-Б, Гамаир, Споробактерин, Трихоплант, Фитоспорин-М. В случае сильного поражения придется прибегнуть к более мощным фунгицидам: Абига-Пик, Браво, Консенто.
Вертициллезное увядание

Вертициллез относится к грибковым болезням, и главный его симптом – потеря тургора, которая обычно начинается с верхушки или отдельных листьев растения. Может показаться, что рассада вянет от жары, но после ночи тургор не восстанавливается. Кроме этого, на листьях могут появляться желтовато-бурые пятна и межжилковый некроз. При недостатке полива такие листья со временем засыхают и опадают. Инфекция прогрессирует медленно и может приобретать хроническую форму.
Грибок с зараженных растительных остатков попадает в почву и может долго жить в ней. В ткани растения проникает через незначительные повреждения корней и корневые волоски. Быстрее всего болезнь развивается при высокой (выше 24°C) температуре и частых перепадах влажности почвы.
Борьба с вертициллезным увяданием заключается в правильной предпосевной обработке семян, обеззараживании почвы и грамотном уходе. Если уберечь рассаду все же не удалось, то справиться с недугом поможет обработка фунгицидом (Превикур Энерджи, Максим Дачник).
Выпревание рассады

Если большая часть семян не взошла, а появившиеся ростки погибли, едва проклюнувшись, – значит, условия для них были созданы неподходящие, и в результате чрезмерная влажность, недостаток кислорода и слишком высокая температура привели к выпреванию всходов. Часто так происходит, если вы не вовремя сняли пленку или крышку с мини-парника.
Эта проблема – целиком и полностью в зоне ответственности огородника. Чтобы не допустить такого исхода, важно следить за влажностью внутри теплички, регулярно проветривать посадки и удалять конденсат с укрытия, а также вовремя снять его.
Корневая гниль

Корневая, или ризоктониозная, гниль поражает корневую систему растений, проникая в нее из почвы. Развивается при высокой температуре и влажности вкупе с недостатком света. Сначала на корнях появляется ржавый налет, затем они загнивают, и признаки болезни становятся заметны на надземной части: стебель под семядольными листочками темнеет, размягчается и истончается, листья приобретают синевато-зеленую окраску, на них появляются мокнущие пятна.
Сеянцы со значительной степенью поражения погибают – их нужно удалить, а остальные растения можно попробовать спасти, пересадив в отдельные емкости. Почву перед использованием нужно обязательно продезинфицировать и заселить полезными бактериями, пролив одним из биопрепаратов: Алирин-Б, Бактофит, Гамаир, Фитоспорин-М.
Прикорневая гниль

Эта болезнь известна большинству огородников под «псевдонимом» черная ножка и чаще всего провоцируется грибками, хотя иногда имеет бактериальную природу. И те и другие патогены действуют в верхнем слое почвы, вызывая загнивание корневой шейки растений. Недугу больше всего подвержены сеянцы с момента прорастания до появления 2-3-х настоящих листьев. Ускоряет развитие болезни неправильный уход: чрезмерный полив, загущенная посадка, перепады температуры.
Когда на рассаде появляется характерный признак – потемнение и появление «перетяжки» у основания стебля, – в большинстве случаев это означает, что корневая шейка уже сгнила, питание нарушено и спасти растения не получится. Поврежденные экземпляры нужно удалить, чтобы дать шанс оставшимся здоровым. После этого обработайте рассаду и почву в контейнерах раствором фунгицида (Алирин-Б, Гамаир, Споробактерин, Фитоспорин-М).
Мучнистая роса

Первый признак этой грибковой болезни – появление белых «мучнистых» пятен на верхней стороне листьев. Этот налет легко убирается пальцем и выглядит довольно безобидно, но если вовремя не пролечить растения, то можно в короткий срок потерять всю рассаду. Пятна мицелия появляются сначала на нижних листьях, постепенно распространяясь вверх, затем разрастаются и «захватывают» всю поверхность листьев и стеблей.
Летучие споры грибка живут в почве, на грязных инструментах и емкостях, легко разносятся ветром, водой и насекомыми. Активно размножаться начинают при высокой (25-30°C) температуре воздуха и частых перепадах влажности.
Мучнистая роса «всеядна» – от нее могут пострадать любые овощные, зеленные и декоративные культуры, и потому важно купировать симптомы при первом появлении. В комнатных условиях для этого используют биофунгициды (Алирин-Б, Гамаир, Фитоспорин-М), а если грибок поселился на рассаде, высаженной в теплицу, можно применить эффективный препарат тройного действия Триовит Джет на основе серы, выступающий одновременно фунгицидом, акарицидом и микроудобрением.
Ложная мучнистая роса

Пероноспороз на рассаде можно определить по желтовато-рыжим пятнам, которые покрываются светлым или серым налетом с тыльной стороны листьев. Именно этим ложная мучнистая роса отличается от настоящей, которая формирует налет на «лицевой» стороне пластин. Разница также в вызывающем болезнь возбудителе рода Pseudoperonospora – это псевдогриб, который «ведет себя», как настоящий. Активнее всего он развивается в условиях прохлады и высокой влажности.
Этот патоген способен атаковать почти все растения: от свеклы и подсолнечника до цветочных культур. Среди овощей, выращиваемых через рассаду, чаще всего от ложной мучнистой росы страдают тыквенные (особенно огурцы) и крестоцветные.
Профилактика пероноспороза заключается в грамотной предпосевной обработке семян и обеззараживании почвы, а также в соблюдении правил агротехники (полива, проветривания, освещения и подкормок). Хорошо работают профилактические опрыскивания препаратами сенной палочки и триходермы. Заболевшие растения можно обработать раствором Споробактерина или Превикура Энерджи, предварительно удалив поврежденные листья.
Фитофтороз

Фото с сайта novyefoto.ru
Обычно фитофтороз подстерегает огородные культуры во второй половине лета, когда наступает прохладная дождливая погода. Однако при «удачном» стечении обстоятельств подхватить эту болезнь растения могут еще на стадии рассады, особенно это свойственно баклажанам и перцу.
Опознать недуг можно по бесформенным серовато-бурым пятнам с салатовой каймой и белому налету на нижней стороне листа. Пятна возникают сначала на листьях, но быстро расползаются на черешки и стебли, а у взрослых растений – и на плоды.
Если пропустить начало болезни, спасти рассаду будет трудно. Поэтому рекомендуется, во-первых, проводить профилактику (обеззараживание семян, соблюдение севооборота, разреженная посадка, выбор устойчивых сортов). А во-вторых – при первых симптомах нужно как можно скорее удалить зараженные части и опрыскать растения раствором биофунгицида: Алирин-Б, Альбит, Бактофит, Фитоспорин-М. При значительных повреждениях помогут препараты меди (бордоская жидкость, Купролюкс, ХОМ), которые нужно дозировать строго по инструкции.
Фузариозное увядание

Этот вид увядания назван «в честь» гриба Fusarium, его вызывающего. Патоген может жить в почве или в семенах. Также рассада может быть заражена в процессе пикировки, при которой часто травмируются тонкие корешки. Болезнь распространяется и развивается стремительно, особенно при наличии усугубляющих факторов – например, повышенной влажности.
Фузариоз на рассаде проявляется побледнением, пожелтением и усыханием листьев (снизу вверх), появлением на них красноватых пятен и грязно-розового налета на нижней части стебля. Сильно пораженные растения вылечить невозможно – их нужно удалить вместе с корневым комом, а оставшиеся опрыскать раствором Споробактерина, Фитоспорина-М, Трихоцина или других препаратов на основе сенной палочки либо триходермы.
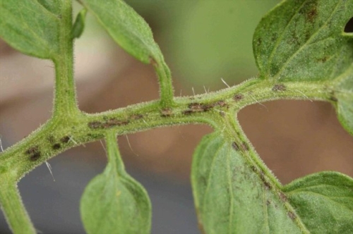
Черная пятнистость

Фото с сайта rassada.club
В начале болезни по краям листьев появляются мелкие пятнышки округлой формы диаметром 1-2 мм, цвет их может быть черным или коричневато-зеленым с черной окантовкой. Похожие отметины, но более вытянутой формы, можно увидеть также на черешках листьев и стеблях. Со временем количество пятен увеличивается и они мелкой черной сыпью покрывают всю надземную часть растений. Это приводит к отмиранию листовой массы, а в случае с молодой рассадой – к ее гибели.
Грибок-возбудитель обитает чаще всего на семенах, которые не были должным образом обеззаражены перед заделкой в почву. Его активному распространению способствуют высокая (25-30°C) температура и повышенная влажность.
Предотвратить заражение можно с помощью опрыскивания сеянцев Бактофитом, Фитолавином, Фитоспорином-М. Если профилактика не помогла, заболевшие растения придется удалить, а оставшуюся рассаду обработать препаратами меди (бордоская жидкость, ХОМ).
Чтобы не лечить рассаду уже на первом этапе развития, заранее примите все возможные меры профилактики: выберите устойчивые к болезням сорта овощей, тщательно продезинфицируйте почву и протравите семена перед посевом. После прорастания внимательно наблюдайте за сеянцами и вовремя реагируйте на симптомы. Только в таком случае не потеряете рассаду и будете с урожаем!