Выращивание рассады – дело непростое. И вдвойне обидно, если все усилия пропадут зря. А такое вполне может случиться, если вовремя не обратить внимание на черные точки, появившиеся на сеянцах.
Важные Дела на этой неделе
Южное Подмосковье, 10 неделя
Томаты Посеять на рассаду семена томатов для выращивания в теплице Перцы Посеять на рассаду семена перца Баклажаны Посеять на рассаду семена баклажанов Розы Проветрить укрытия роз, если они сделаны из пленки, рубероида и других воздухонепроницаемых материалов Сад Осмотреть деревья на наличие повреждений

Показать еще
Причиной их появления может стать серьезное заболевание и опасный вредитель.
Черная бактериальная пятнистость: симптомы болезни и способы борьбы

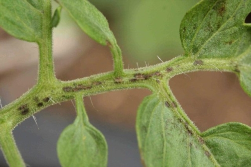
Черная бактериальная пятнистость чаще всего поражает томаты и перец. Возбудитель болезни – аэробная почвенная бактерия Xanthomonas campestris pv. vesicatoria. Чаще всего инфекция передается через семена (фитопатоген может сохраняться на их поверхности в течение 1,5 лет). Кроме семян, распространению болезни способствуют остатки больных растений. Непосредственно в почве бактерия жить не может и гибнет через несколько дней.
Заболеть черной пятнистостью растения могут на любой стадии развития, в том числе и в рассадный период. В этом случае сеянцы ослабевают и отстают в развитии, что в итоге сказывается на урожае.
Пик вредоносности наблюдается во влажные теплые годы с температурой воздуха 25-30°С.
Симптомы черной бактериальной пятнистости

Фото с сайта rassada.club
Первые признаки поражения можно обнаружить на листьях растений. Там возникают мелкие (до 3 мм) черные водянистые пятна неправильной формы. Вокруг них видна узкая светлая окантовка. На молодых листьях ткань на месте пятен со временем отмирает, в этих точках появляются отверстия. С течением времени количество пятен увеличивается и они распространяются на большую часть листовой пластинки, в том числе на область жилок.
Подобные черные пятна, но более вытянутой формы, можно увидеть также на стеблях и черешках листьев. Без надлежащего лечения количество пятен быстро увеличивается и они покрывают всю надземную часть растений. Сильно пораженные листья быстро желтеют и опадают. Молодая рассада может погибнуть.
Как бороться с черной бактериальной пятнистостью
Лучший способ борьбы с черной пятнистостью, как и с другими заболеваниями, – это профилактика:
- выбирайте устойчивые к заболеваниям сорта и гибриды растений;
- обязательно проводите предпосевное обеззараживание семян;
- если для посадки рассады берете землю со своего огорода (а в ней могут находиться пораженные пятнистостью растительные остатки), продезинфицируйте ее любым способом;
- для профилактики обработайте рассаду одним из биофунгицидов (по инструкции): Бактофитом, Фитолавином, Фитоспорином-М.
Если профилактические меры не помогли и на листьях рассады все-таки появились черные точки, заболевшие экземпляры придется удалить, а оставшиеся здоровые растения обработать медьсодержащими препаратами (бордоская жидкость, ХОМ).
Паутинный клещ: признаки поражения и способы борьбы

Еще один виновник появления на рассаде черных пятен – паутинный клещ.
Это мелкое членистоногое, длина тела которого не превышает 0,5 мм. По этой причине заметить его на растении, особенно на начальной стадии поражения, невероятно сложно. В начале лета взрослый клещ серо-зеленого цвета, что тоже повышает его шансы остаться незамеченным; с конца лета и до весны окраска тела меняется на оранжево-красную.
Причиной появления паутинного клеща на рассаде могут стать зараженные семена или грунт, которые не обработали перед посевом. Кроме того, к факторам риска относятся загущенность посадок и слишком сухой воздух: идеальные условия для размножения вредителя – высокая (29-31°C) температура и низкая (35-55%) влажность воздуха.
Питается паутинный клещ (причем как имаго, так и личинки) соками растений, прокалывая их наружные ткани, что приводит к ослаблению сеянцев и даже их гибели.
Признаки поражения паутинный клещом

Увидеть паутинного клеща невооруженных глазом практически невозможно, однако существуют признаки, по которым можно обнаружить его присутствие. Так, о появлении опасного вредителя может свидетельствовать общий угнетенный вид растений и их вроде бы беспричинное увядание, а также появление на листьях мелких желтых, серебристых и черных точек. Со временем эти точки сливаются, появляются уже более крупные хлоротичные пятна с точечным некрозом, становится заметной тончайшая паутинка (в первую очередь на нижней стороне листьев).
В результате листья начинают желтеть, усыхать, сворачиваться и опадать как бы без причины. В такой ситуации рассада без срочной обработки может погибнуть.
Как бороться с паутинным клещом
Чтобы не допустить появления паутинного клеща, соблюдайте меры профилактики:
- обрабатывайте посадочный материал и грунт;
- избегайте загущения посадок;
- поддерживайте высокий уровень влажности воздуха.
При обнаружении единичных точек от проколов клеща, попробуйте опрыскать растения чистой водой, а затем следите, чтобы влажность воздуха в помещении с рассадой не падала ниже 50-60%.
При начальной стадии заражения рассаду можно опрыскать народными средствами, например настоем одуванчика (25-30 г растения залить 1 л горячей воды и дать настояться в течение 2 часов).
При сильном поражении используйте промышленные акарициды: Фитоверм, Битоксибациллин, Искра Золотая.
Что делать, если на рассаде появились белые, желтые, бурые и другие пятна, вы узнаете из нашего прошлого материала.